至少备3天应急物资!超强台风“桦加沙”正面来袭!最新路径公布→

中央气象台最新消息

今年第18号台风“桦加沙”

已于9月21日上午

加强为超强台风级

巅峰强度或达到62米/秒(17级)

至少备3天应急物资!超强台风“桦加沙”正面来袭!最新路径公布→

超强台风“桦加沙”将正面来袭

最新路径公布

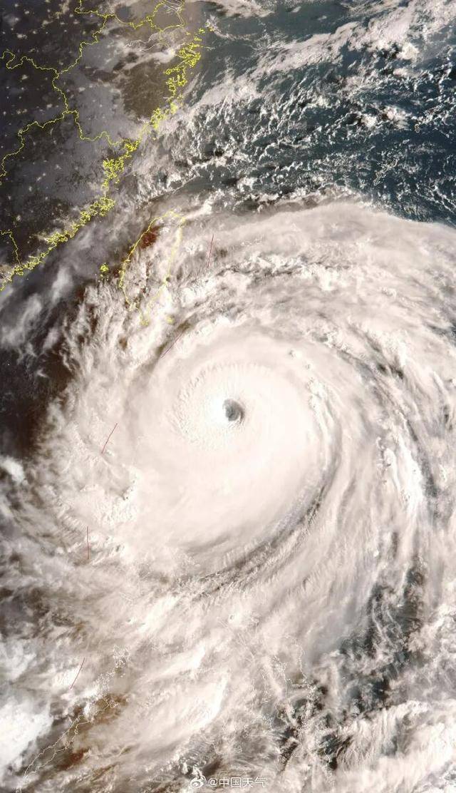
中央气象台9月22日6时发布台风黄色预警:

今年第18号台风“桦加沙”(超强台风级)的中心今天(22日)早晨5点钟位于菲律宾马尼拉北偏东方向约590公里的西北太平洋洋面上(北纬19.3度、东经123.6度),中心附近最大风力有17级以上(62米/秒),中心最低气压为910百帕,七级风圈半径340—480公里,十级风圈半径160—200公里,十二级风圈半径80—120公里。

预计,“桦加沙”将以每小时20公里左右的速度向偏西方向移动,强度变化不大,22日穿过巴士海峡后,将于23日凌晨进入南海东北部海面,尔后向西偏北方向移动,并逐渐向广东中西部至海南岛东北部一带沿海靠近,强度稍有减弱。

大风预报:22日8时至23日8时,巴士海峡、南海东北部海域、台湾海峡、台湾以东洋面、东海西南部海域、东沙群岛、福建沿海、台湾岛东南部沿海将有7~9级、阵风10~11级大风,其中,巴士海峡、南海东北部的部分海域风力有10~13级、阵风14~15级,台风中心经过的附近海域或地区风力可达14~17级、阵风17级以上。

降水预报:22日8时至23日8时,福建东北部和浙江东南部局地有大雨,台湾岛中东部有大到暴雨,台湾岛东部的部分地区有大暴雨(100—220毫米)。

至少备3天应急物资!超强台风“桦加沙”正面来袭!最新路径公布→

展开全文

至少备3天应急物资!超强台风“桦加沙”正面来袭!最新路径公布→

至少备3天应急物资!超强台风“桦加沙”正面来袭!最新路径公布→

超强台风“桦加沙”威力有多强?

中央气象台预计,“桦加沙”为今年以来西北太平洋强度最强的台风。为何“桦加沙”强度这么强?后续会对我国沿海地区带来哪些影响?

江门实行“五停”

据江门日报9月22日消息,江门市人民政府防汛防旱防风指挥部发布《关于在全市范围内实行“五停”的通告》:

根据气象等部门预测,今年第18号台风“桦加沙”(超强台风级)9月23日起严重影响我市,带来狂风,伴随大暴雨到特大暴雨,防御形势极其严峻。为全力保障人民生命和财产安全,市三防指挥部将在全市范围内渐次实行“五停”措施(即:停课、停工、停产、停运、停业)。现将有关重点事项通告如下:

一、全市所有托儿所、幼儿园、中小学校、中等职业学校、技工院校和各类教育培训机构于23日起实施停课。请各寄宿制学校(机构)于22日下午有序安排学生回家,当晚不得在校留宿。

二、其他四停(停工、停产、停运、停业)措施,预计于23日19时起实行,具体以后续通告为准。

三、全体市民尽可能留在安全坚固的室内,提前准备好食物、饮用水等生活物资,加固好门窗,居住在高楼层的住户及时对高空悬挂物、阳台摆放物等进行转移加固,防止高空坠物。

四、已在江门游玩、出差的外地游客,建议9月22日内离开江门返程,计划前来江门的游客建议避开台风影响。

多地可能采取“五停”措施

广州:预计周一夜间起各区升级台风黄色预警,周二或停课

@广州天气 表示:根据目前台风路径预报,预计周一(22日)夜间起,广州市各区会陆续升级台风黄色预警信号,周二(23日)白天,中南部各区陆续升级台风橙色预警信号。

根据《广州市公众应对主要气象灾害指引》和《广州市教育系统应对台风、暴雨灾害天气指引》,当所在区域发布台风黄色及以上级别预警信号时,应当停课。此外,不同级别的暴雨、雷雨大风预警信号也涉及延迟上学、停课安排,请大家留意。

由于台风“桦加沙”后期路径、登陆地点和强度仍有不确定性,请大家保持关注最新预报预警信息,同时做好防御台风的准备。

珠海:本周三或将“五停”

珠海市三防指挥部提醒:珠海本周三可能受影响采取“五停”防台措施(即:停课、停工、停产、停运、停业),请市民密切关注气象预警信息,做好防风防水浸准备,储备应急物品、加固门窗和悬挂物,各企业做好停工准备,地下空间的商铺、居住人员提前撤离到安全区域,做好各项台风防御准备。

潮州:本周三四可能停工、停课、五停

9月21日,潮州天气发布消息称:潮州停课趋势明显,学生及家长们请做好相关计划调整的心理准备。本周三前后,请留意台风预警信号,潮州有可能停课,也有可能停周二周三。

超强台风“桦加沙”防御攻略

减少外出

减少不必要外出,避免前往高空作业区、临河区域及低洼易涝点;户外注意躲避高空坠物,勿在临时构筑物、广告牌附近停留;行车注意绕行积水路段,确保安全。

备足物资

准备至少3天的应急物资,最好每人每天4升饮用水、方便食品、常用药品(特别是慢性病药物),以及装有手电筒、充电宝、急救用品和少量现金的应急包。

安全加固

检查并加固门窗,用胶带在玻璃上贴成“米”字形,特别是沿海高层住户需重点做好此项工作。市区里面朝东和朝南的窗户也得重点防范,及时收回阳台花盆、晾衣架等所有高空悬挂物,防止坠落伤人。

风险区域准备

居住在地质灾害点、低洼地区、危旧房屋、临河区域的居民,请提前熟悉附近的应急避难场所位置和转移路线,准备好随身重要物品,听从政府安排随时准备转移。

特殊人群

请妥善安置好家中的老人、孩子和病患,提前为宠物做好安排。台风来临时不要外出,相互提醒,彼此照应。

评论