-

中超-韦世豪伤退周定洋读秒破门 蓉城客场1-1绝平申花
...
MXC抹茶,抹茶APP下载 2025-09-22 27
-

茅台批发价大面积“跳水” ! 零售价已低至1700元/瓶
飞天茅台再现大面积“跳水”!酒类行情监测平台“今日酒价”数据显示,9月19日,25年飞天茅台(53度...
MXC抹茶,抹茶APP下载 2025-09-22 29
-

首次突破、首座投运!多领域重点工程传来好消息
新疆大石峡水利枢纽下闸蓄水 黄土高原万吨油田建成投用 15米口径亚毫米波望远镜启动建设 全国首座50...
MXC抹茶,抹茶APP下载 2025-09-22 30
-

小区32楼外墙瓷砖脱落砸9车致凹陷,居民反映情况,物业回应将交由保险公司核定处理
据新民晚报消息,9月17日下午1点多,上海合肥路289弄复兴苑小区2号楼32楼楼顶,一块巨大的白色外...
MXC抹茶交易所 2025-09-22 22
-

想喝到茅台酒其实并不难!实地探访贵阳专卖店
中秋国庆双节临近,白酒市场消费需求有所上升,记者近日实地走访了贵阳市内多家贵州茅台专卖店,店员均表示...
MXC抹茶交易所 2025-09-22 24
-

马可波罗控股艺术顾问徐冬冬二十四节气抽象绘画学术展即将开展
马可波罗控股艺术顾问徐冬冬在国内外第一套用中国气派的抽象绘画语言系统描绘二十四节气七十二候的组画作品...
MXC抹茶,抹茶APP下载 2025-09-22 22
-

李娟:气得编不出标题
9月19日,知名户外品牌始祖鸟与艺术家蔡国强在西藏江孜热龙地区(海拔约5000米)完成了一场名为“升...
MXC抹茶,抹茶APP下载 2025-09-22 25
-

五家快递宣布22日涨价,业内人士:全国都在尝试上调价格
9月20日,据财联社报道,有市场消息称,极兔速递、中通快递、圆通速递、申通快递、韵达快递上海区域公司...
MXC抹茶交易所 2025-09-22 29
-

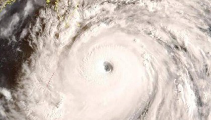
至少备3天应急物资!超强台风“桦加沙”正面来袭!最新路径公布→
中央气象台最新消息 今年第18号台风“桦加沙” 已于9月21日上午 加强为超强台风级 巅峰强度或达到...
MXC抹茶,抹茶APP下载 2025-09-22 28
-

A股午评:沪指涨0.07%科创50涨1.52%,贵金属、存储芯片走强!超3400股下跌成交13556亿缩量1552亿;机构解读
9月22日消息,三大股指涨跌不一,科创50半日涨1.52%。板块方面,贵金属板块早盘震荡走高,湖南...
MXC抹茶,抹茶APP下载 2025-09-22 30

最新留言